Τι καλύπτει το 98% του βυθού στον Ειρηνικό;
Ανησυχητικά είναι τα ευρήματα αμερικανικής μελέτης που παρουσιάζουν τη θαλάσσια ζωή στον Ειρηνικό ωκεανό να μειώνεται δραματικά. Η έρευνα αποκαλύπτει πως κύρια αιτία για το φαινόμενο είναι η πυρηνική καταστροφή της Φουκοσίμα.
Η πυρηνική καταστροφή της Φουκουσίμα που συνέβη στις 11 Μαρτίου 2001 ήταν αποτέλεσμα του ισχυρού σεισμού και του τσουνάμι που ακολούθησε της σεισμική δόνηση.
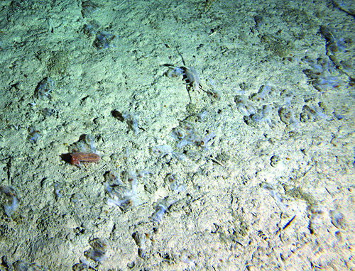
Οι επιπτώσεις της ακτινοβολίας της Φουκουσίμα, και όχι τόσο η υπερθέρμανση του πλανήτη, είναι υπεύθυνες για την «εικόνα» που παρουσιάζει ο βυθός του Ειρηνικού και είναι, σε ποσοστό 98% καλυμμένος με μεγάλη ποσότητα νεκρών θαλάσσιων οργανισμών, αλλά και κόπρανα, αναφέρει μία έρευνα δημοσιευμένη στα Πρακτικά της Εθνικής Ακαδημίας Επιστημών των ΗΠΑ
Η έρευνα δείχνει ότι στα 24 χρόνια που γίνονται οι μελέτες, τα περισσότερα συντρίμμια βρέθηκαν τα τελευταία δύο χρόνια.
Σύμφωνα με το econews.gr, οι μετρήσεις που έγιναν τον Μάρτιο του 2012 έδειξαν ότι τα επίπεδα του ωκεανού που καλύπτονται από τους νεκρούς οργανισμούς ήταν περίπου 1%, ενώ λίγους μήνες αργότερα, είχαν αυξηθεί σε 98%.
Μεγάλη μερίδα επιστημόνων ισχυρίζονται ότι η ραγδαία αύξηση της νεκρής μάζας που καλύπτει τον βυθό του Ειρηνικού, έχει ως αιτία το φαινόμενο του θερμοκηπίου. Αντίθετη άποψη διατυπώνουν οι θαλάσσιοι βιολόγοι, αναφέροντας πως η υπερθέρμανση του πλανήτη είναι μια αργή δράση που δεν θα μπορούσε να οδηγήσει σε ένα τόσο απότομο φαινόμενο.