Τεράστιο υποθαλάσσιο ηφαίστειο αναμένεται να εκραγεί «από μέρα σε μέρα»

Το πιο ενεργό ηφαίστειο στον Βορειοδυτικό Ειρηνικό θα μπορούσε να εκραγεί «ανά πάσα στιγμή», προειδοποιούν οι επιστήμονες.

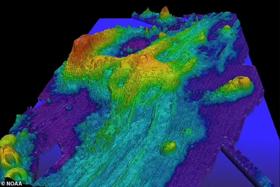
Το Axial Seamount είναι ένα υποθαλάσσιο ηφαίστειο πλάτους 1,6 χλμ, που βρίσκεται 300 μίλια από τις ακτές του Όρεγκον και πάνω από 4.900 πόδια κάτω από την επιφάνεια του Ειρηνικού Ωκεανού.

Η τελευταία έκρηξη του έγινε το 2015, προκαλώντας περίπου 8.000 σεισμούς, παράγοντας ροές λάβας πάχους 120 μέτρων και προκαλώντας βύθιση του πυθμένα του ωκεανού σχεδόν 2,5 μέτρα.

Οι επιστήμονες που παρακολουθούν αυτό το ηφαίστειο έχουν εντοπίσει ένα βασικό σημάδι ότι πρόκειται να εκραγεί: το φούσκωμα του πυθμένα. Αυτό το φούσκωμα υποδηλώνει ότι μάγμα συσσωρεύεται κάτω από την επιφάνεια.

Σύμφωνα με τον William Wilcock, καθηγητή και θαλάσσιο γεωφυσικό στο Πανεπιστήμιο της Ουάσινγκτον, ο πυθμένας έχει ήδη διογκωθεί στο επίπεδο που είχε φτάσει πριν από την έκρηξη του 2015.

«Μερικοί ερευνητές έχουν υποθέσει ότι η διόγκωση μπορεί να προβλέψει πότε θα εκραγεί το ηφαίστειο», είπε. «Αυτό σημαίνει ότι θα μπορούσε πραγματικά να εκραγεί οποιαδήποτε μέρα τώρα, αν η υπόθεση είναι σωστή».

Ωστόσο, εάν το Axial Seamount εκραγεί, δεν θα αποτελέσει καμία απειλή για τις ανθρώπινες κοινότητες, λένε οι ειδικοί. Είναι πολύ βαθιά και πολύ μακριά από την ακτή για να το αντιληφθούν οι άνθρωποι όταν εκρήγνυται, και δεν έχει καμία επίδραση στη σεισμική δραστηριότητα στην ξηρά.

Ο Μάικ Πόλαντ, επιστήμονας στο Αστεροσκοπείο Ηφαιστείων Γέλοουστοουν, εξέφρασε τον ενθουσιασμό του για την έκρηξη, τονίζοντας το Άξιαλ Σίμαουντ ως ένα από τα καλύτερα παρακολουθούμενα υποθαλάσσια ηφαίστεια στον κόσμο.

«Αυτό το συγκεκριμένο ηφαίστειο είναι ίσως το καλύτερα παρακολουθούμενο υποθαλάσσιο ηφαίστειο στον κόσμο», δήλωσε στην Cowboy State Daily. «Είναι συναρπαστικό και δεν αποτελεί πραγματικά κίνδυνο».

Βρίσκεται κατά μήκος της κορυφογραμμής Juan de Fuca, μιας αλυσίδας υποθαλάσσιων ηφαιστείων που εκτείνεται μεταξύ Όρεγκον και Αλάσκας, το Axial Seamount είναι ένα νεαρό ασπιδωτό ηφαίστειο – ένα ευρύτερο ηφαίστειο με χαμηλό προφίλ. «Όταν εκραγεί το Axial Seamount, θα μοιάζει πολύ με έκρηξη ροής λάβας στη Χαβάη», είπε ο Poland.

Οι επιστήμονες προειδοποίησαν πέρυσι ότι επρόκειτο να εκραγεί μέχρι το τέλος του 2025.

«Επειδή έχει υποστεί αυτές τις τρεις εκρήξεις τα τελευταία 30 χρόνια, γι’ αυτό το ονομάζουμε το πιο ενεργό ηφαίστειο στον Βορειοδυτικό Ειρηνικό, επειδή τα περισσότερα από αυτά στην ξηρά δεν είναι ενεργά τόσο συχνά και περνούν πολύ χρόνο κοιμισμένα, ενώ το Axial έχει αρκετά ενεργό απόθεμα μάγματος», δήλωσε ο Chadwick στο τοπικό κανάλι KOIN 6 News, θυγατρικό του CBS .

Μοιράσου το:

σχολίασε κι εσύ

ENIKOS NETWORK