Περιμένουν τυφώνα

Περιμένουν τυφώνα

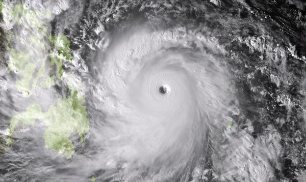
Οι αρχές του Βιετνάμ απομάκρυναν προληπτικά τουλάχιστον 600.000 κατοίκους από περιοχές τις οποίες αναμένεται να πλήξει νωρίς αύριο το πρωί τυφώνας Χαϊγιάν, ο οποίος σκόρπισε τον θάνατο σε χιλιάδες ανθρώπους στις Φιλιππίνες, ανακοίνωσε σήμερα το αρμόδιο υπουργείο για τον έλεγχο των πλημμυρών και των καταιγίδων στο Ανόι.

“Εκκενώσαμε τουλάχιστον 147.000 κατοικίες, δηλαδή περισσότεροι από 600.000 άνθρωποι εγκατέλειψαν τις εστίες τους”, τονίζεται στην ανακοίνωση. Ωστόσο σε 200.000 κατοίκους κεντρικών περιοχών, κυρίως της επαρχίας Κουάνγκ Ναμ, επετράπη να επιστρέψουν στα σπίτια τους, καθώς ο Χαϊγιάν άλλαξε την πορεία του.

Ο τυφώνας Χαϊγιάν, από τους βιαιότερους που σαρώνει τον πλανήτη στα χρονικά, αποδυναμώθηκε τη νύχτα περνώντας από τη Νότια Σινική Θάλασσα.

Αναμένεται να υποβαθμιστεί στην κατηγορία 1, όταν φθάσει ως τροπική καταιγίδα πλέον στις ακτές του Βιετνάμ το πρωί τις Δευτέρας, δηλαδή 24 ώρες αργότερα σε σχέση με τις αρχικές προβλέψεις, και να πλήξει βορειότερες περιοχές, όπως η επαρχία Τανχ Χόα, σε σχέση με τις πρώτες προγνώσεις, ανακοίνωσε η Υπηρεσία Μετεωρολογίας του Βιετνάμ.

Ο Χαϊγιάν κατευθύνεται γρήγορα βόρεια – βορειοδυτικά με ταχύτητα 35 χλμ. την ώρα. Αναμένεται να φθάσει στο Βιετνάμ αύριο, στις 07.00 τοπική ώρα (02.00 ώρα Ελλάδος) με ταχύτητα ανέμων 74 χλμ. την ώρα, δηλαδή πολύ μικρότερης έντασης σε σχέση με τις ριπές ανέμων που ξεπερνούσαν τα 300 χλμ. την ώρα στις Φιλιππίνες την Παρασκευή.

Χθες, εν αναμονή του τυφώνα, αρχές είχαν εκκενώσει κεντρικές επαρχίες, τα σχολεία ήταν κλειστά, τα αλιευτικά σκάφη που έπλεαν ανοικτά των κεντρικών και νότιων περιοχών είχαν κληθεί να επιστρέψουν στην ακτή ή να απομακρυνθούν από ευάλωτες περιοχές.

Πηγή: ΑΠΕ-ΜΠΕ

 

Μοιράσου το:

σχολίασε κι εσύ

ENIKOS NETWORK