Ο τυφώνας “Πατρίσια”, ένας από τους πιο ισχυρούς τυφώνες που έχουν καταγραφεί ποτέ στην ιστορία, έπληξε χθες τις ακτές στο Μεξικό από την μεριά του Ειρηνικού και απειλεί να προκαλέσει καταστροφικές ζημιές.
Όπως ανέφεραν αξιωματούχοι 15.000 κάτοικοι και ξένοι τουρίστες εκκένωσαν το Πουέρτο Βαγιάρτα, ενώ μέλη ομάδων διάσωσης αγωνίζονται να απομακρύνουν χιλιάδες κατοίκους από τα σπίτια τους και από τα τουριστικά θέρετρα στις ακτές.
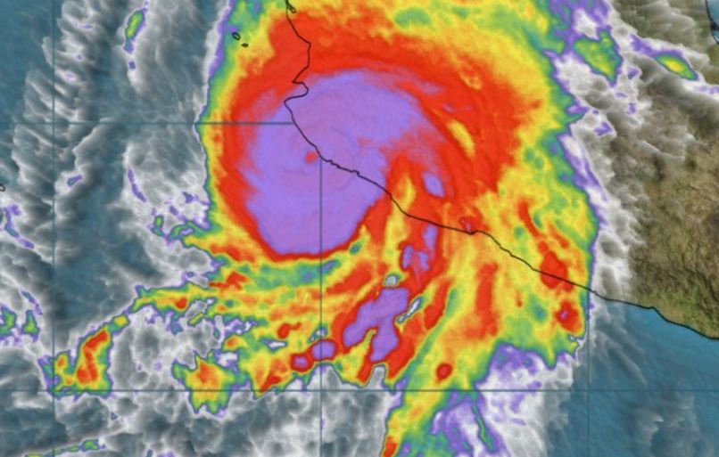
Με ταχύτητα ανέμων 266χλμ την ώρα, με τις αρχές να ανεβάζουν την επικινδυνότητα στην κατηγορία 5, οι δυτικές περιοχές στο Μεξικό βρίσκονταν σε κατάσταση επιφυλακής, περιλαμβανομένου του Πουέρτο Βαγιάρτα και άλλων μικρότερων περιοχών στις ακτές.
Η Πάμελα Γκαρθία, μια εκπρόσωπος της μετεωρολογικής υπηρεσίας του Μεξικού, δήλωσε πως ο τυφώνας έπληξε την περιοχή κοντά στο Πούντα Περούλα, που βρίσκεται μεταξύ του Πουέρτο Βαγιάρτα και του μεγάλου εμπορικού λιμανιού στο Μανσανίγιο.
Αμερικανοί μετεωρολόγοι εκτιμούν πως ο τυφώνας “Πατρίσια” είναι ο μεγαλύτερος τυφώνας που έχει καταγραφεί στην ιστορία στο δυτικό ημισφαίριο και ο Παγκόσμιος Μετεωρολογικός Οργανισμός τον συνέκρινε με τον τυφώνα Χαϊγιάν, που προκάλεσε το θάνατο χιλιάδων ανθρώπων στις Φιλιππίνες το 2013.
“Οι άνεμοι είναι τόσο ισχυροί που μπορούν να απογειώσουν ένα αεροπλάνο και να το κρατήσουν στον αέρα”, δήλωσε η εκπρόσωπος του Παγκόσμιου Μετεωρολογικού Οργανισμού, Κλάρε Νάλις σε συνέντευξη Τύπου του ΟΗΕ στην Γενεύη.
Ο πρόεδρος του Μεξικού Ενρίκε Πένια Νιέτο δήλωσε πως είναι δύσκολο να προβλεφτούν οι ζημιές που θα επιφέρει ο τυφώνας που φαίνεται από το διάστημα να πλησιάζει την ακτή του Μεξικού.
“Για ένα πράγμα είμαστε βέβαιοι, ότι είμαστε αντιμέτωποι με έναν τυφώνα, το μέγεθος του οποίου δεν έχουμε ξαναδεί”, δήλωσε σε ραδιοφωνική του συνέντευξη.
Μεξικανοί και αμερικανοί αξιωματούχοι εκτίμησαν πως ο πρωτοφανής σε ένταση τυφώνας θα προκαλέσει καταστροφικές ζημιές.
Ο Αμερικανός αστροναύτης Σκοτ Κέλι από τον Διεθνή Διαστημικό Σταθμό, σε απόσταση 401χλμ από την Γη ανήρτησε στο twitter μια επιβλητική φωτογραφία του γιγάντιου τυφώνα που σκέπαζε ένα μεγάλο κομμάτι της Υδρογείου με ένα λευκό σύννεφο, μαζί με το μήνυμα του “Πρόσεχε εκεί κάτω Μεξικό”.
Το Εθνικό Κέντρο Τυφώνων των ΗΠΑ (ΝHC) ανέφερε πως ο τυφώνας θα εξασθενήσει μόλις χτυπήσει τον ορεινό όγκο στο δυτικό Μεξικό.
Ο πρόεδρος των ΗΠΑ Μπαράκ Ομπάμα δήλωσε πως οι Ηνωμένες Πολιτείες είναι έτοιμες να παράσχουν βοήθεια στο Μεξικό.
Πηγή: ΑΠΕ-ΜΠΕ
Δείτε επίσης:
Το Facebook δεν θα… αδειάζει πλέον τη μπαταρία των κινητών σας