Ο κυκλώνας Ουμπέρτο ενισχύθηκε ταχύτατα στην Κατηγορία 3 της πεντάβαθμης κλίμακας Σαφίρ-Σίμσον και προβλέπεται πως θα ενισχυθεί περαιτέρω στον κεντρικό Ατλαντικό Ωκεανό τις επόμενες ημέρες, προειδοποίησε χθες Παρασκευή το εθνικό κέντρο παρακολούθησης κυκλώνων/τυφώνων (National Hurricane Center / NHC) των Ηνωμένων Πολιτειών.
Hurricane #Humberto Advisory 9: Humberto Rapidly Strengthens to a Major Hurricane. Further Intensification Expected Over the Central Atlantic. https://t.co/tW4KeGdBFb
— National Hurricane Center (@NHC_Atlantic) September 26, 2025
Ο κυκλώνας βρίσκεται περίπου 690 χιλιόμετρα βορειοανατολικά των Υπήνεμων Νήσων, συνοδευόμενος από ανέμους που πνέουν με ταχύτητα έως και 185 χλμ/ώρα.
«Τα κύματα που δημιουργούνται από τον Ουμπέρτο θα αρχίσουν να επηρεάζουν τμήματα των Υπήνεμων Νήσων, των Παρθένων Νήσων, του Πουέρτο Ρίκο και των Βερμούδων το σαββατοκύριακο», αναφέρει η ενημέρωση από το NHC.
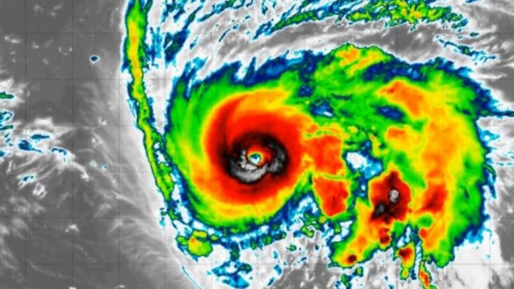
#Humberto may already be approaching C4 status if not at it already.
Look how nice and centralized the CDO has become around the warming eye that is now ~15 degrees Celsius.
Notice Humberto shedding the excess convection around to help form the centralized CDO you see now.… pic.twitter.com/bJHSQZxyxa
— BGWX (@BradyBGWX) September 26, 2025
Πηγές: ΑΠΕ-ΜΠΕ, Reuters
