Καταστροφικό το πέρασμα του Χαϊγιάν
Τουλάχιστον 100 άνθρωποι μπορεί να έχασαν τη ζωή τους στις Φιλιππίνες από το πέρασμα του σούπερ τυφώνα Χαϊγιάν, δήλωσε το Σάββατο, ένας ανώτερος κυβερνητικός αξιωματούχος.
Πολλά πτώματα βρίσκονταν στους δρόμους, σύμφωνα με τις πρώτες αναφορές από τις δυνάμεις της αεροπορίας, στις πόλεις Τακλομπάν και Λειτέ στις κεντρικές Φιλιππίνες, ανέφερε ο Τζον Άντριους αναπληρωτής γενικός διευθυντής της Αρχής Πολιτικής Αεροπορίας των Φιλιππίνων.
Οι αρχές έχουν περιορισμένη δυνατότητα πρόσβασης στις πληγείσες περιοχές, ενώ δεν υπάρχουν επικοινωνίες, γεγονός που δυσκολεύει το έργο της επιβεβαίωσης της έκτασης των ζημιών σε μια ευρύτερη περιοχή με πληθυσμό 1,7 εκατομμύρια ανθρώπους στις κεντρικές Φιλιππίνες.
«Είμαστε πολύ ανήσυχοι για την κατάσταση που επικρατεί εκεί» ανέφερε ο γραμματέας του Υπουργικού Συμβουλίου Ρενέ Αλμένρτας. «Προτεραιότητά μας είναι τώρα να στείλουμε πολλές δυνάμεις όσο το δυνατόν ταχύτερα. Εστιάζουμε στη διάσωση και την ανακούφιση των πληγέντων» συμπλήρωσε.
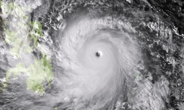
Ο σούπερ τυφώνας, ίσως η ισχυρότερη θύελλα που έπληξε ποτέ ηπειρωτικές περιοχές, πέρασε από τις Φιλιππίνες αφού πρώτα ισοπέδωσε σπίτια, προκάλεσε κατολισθήσεις και πλημμύρες και δημιούργησε ένα άνευ προηγουμένου ενεργειακό μπλακ άουτ σε μια σειρά από νησιά του αρχιπελάγους.
Στην πόλη Τακλομπάν, στις κεντρικές Φιλιππίνες, που σύμφωνα με όλες τις αναφορές, ο τυφώνας προκάλεσε τις μεγαλύτερες καταστροφές, σχεδόν όλα τα σπίτια καταστράφηκαν και είναι υπαρκτός ο φόβος των αρχών για μεγάλο αριθμό θυμάτων.
«Σχεδόν όλα τα σπίτια καταστράφηκαν. Μόνο λίγα έχουν υποστεί μερικές ζημιές» ανέφερε ο Ρέι Μπαλίντο, εκπρόσωπος της εθνικής υπηρεσίας καταστροφών, μιλώντας στο Ρόιτερς. Σύμφωνα με τι εκτιμήσεις των αρχών υπάρχουν σχεδόν 800.000 εκτοπισμένοι από τις περιοχές τους.
Ο σούπερ τυφώνας κατηγορίας 5 έχει αποδυναμωθεί μετά το πέρασμα του από τις ηπειρωτικές περιοχές, αλλά οι μετεωρολόγοι θεωρούν ότι θα μπορούσε να ενισχυθεί και πάλι καθώς περνά πάνω από την Θάλασσα της Νότιας Κίνας πριν από τον τελικό του προορισμό στο Βιετνάμ, την Κυριακή.
Οι αρχές στο κεντρικό Βιετνάμ έχουν απομακρύνει χιλιάδες κατοίκους από τις περιοχές που αναμένεται να προσεγγίσει ο Χαϊγιάν, κυρίως στην παράκτια πόλη Ντα Ναγκ στο ανατολικό τμήμα της χώρας, ανέφεραν τοπικά μέσα ενημέρωσης.
«Αυτός είναι ο ισχυρότερος τυφώνας στην ιστορία πάνω από την Ανατολική Θάλασσα και μπορεί να συγκριθεί με άλλες ισχυρότερες καταιγίδες στη γη, όπως ο Άντριου και ο Κατρίνα στις ΗΠΑ και ο Ναργκίς στη Μιανμάρ» ανέφερε ο Μπούι Μινχ Τανγκ διευθυντής στο Κέντρο Μετεωρολογικών Προβλέψεων.
Οι μετεωρολόγοι χαρακτηρίζουν τον Χαϊγιάν ως τον ισχυρότερο τυφώνα στον κόσμο από τον Οκτώβριο του 1979, όταν ο τυφώνας Τιπ σάρωσε τις Φιλιππίνες αφήνοντας 100 νεκρούς.
Ο Χαϊγιάν είναι ο δεύτερος τυφώνας κατηγορίας 5 που χτυπά εφέτος τις Φιλιππίνες, μετά τον Ουσάγκι που έπληξε τη νησιωτική χώρα τον περασμένο Σεπτέμβριο.
Κατά μέσο όρο 20 τυφώνες χτυπούν τις Φιλιππίνες κάθε χρόνο, και ο Χαϊγιάν ήταν ο 24ος για το 2013.
Πέρυσι, ο τυφώνας Μπόπχα ισοπέδωσε τρεις πόλεις στην περιοχή του νότιου Μιντανάο, σκοτώνοντας 1.100 ανθρώπους και προκαλώντας ζημιές που ανήλθαν σε πάνω από 1 δισεκατομμύριο δολάρια.