ΒΙΝΤΕΟ-ΦΩΤΟ-Ο τυφώνας Χαγκοπίτ θα “χτυπήσει” τις Φιλιππίνες
Για το πέρασμα ενός ακόμη σούπερ τυφώνα προετοιμάζονται οι Φιλιππίνες καθώς σύμφωνα με την Μετεωρολογική Υπηρεσία της νησιωτικής ασιατικής χώρας ο τυφώνας Χαγκοπίτ αναμένεται να χτυπήσει τις ανατολικές και κεντρικές επαρχίες το Σάββατο.
Κατά μήκος των Φιλιππίνων σχεδόν όλα τα λιμάνια έκλεισαν δημιουργώντας τεράστια προβλήματα σε χιλιάδες ταξιδιώτες ενώ ορισμένες τοπικές αρχές διέταξαν την Παρασκευή την αναγκαστική εκκένωση περιοχών στα ανατολικά.

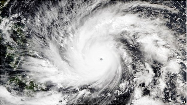
Το μάτι του τυφώνα Χαγκοπίτ βρίσκεται περίπου 500 χιλιόμετρα νοτιοανατολικά των Φιλιππίνων, με την τοπική Μετεωρολογική Υπηρεσία να εκτιμά ότι μεταφέρει ανέμους 215 χιλιομέτρων την ώρα ενώ στο λεγόμενο “τοίχωμα του ματιού” πνέουν οι ισχυρότεροι άνεμοι με ριπές έως και 250 χιλιόμετρα την ώρα. Ο τυφώνας κινείται με κατεύθυνση προς τις χερσαίες περιοχές με ταχύτητα περίπου 15 χιλιόμετρα την ώρα.
Την Πέμπτη, η κυβέρνηση ανακοίνωσε ότι εξετάζει το ενδεχόμενο να κηρύξει κατάσταση εθνικής συμφοράς απαιτώντας το πάγωμα των τιμών των βασικών εμπορευμάτων, καθώς ο πρόεδρος Μπενίνο Ακίνο διέταξε το τμήμα εμπορίου να στείλει περισσότερες προμήθειες τροφίμων στις επαρχίες που απειλούνται μετά τις αναφορές για τη δημιουργία πανικού στην αγορά των βασικών προμηθειών.

Ο νέος σούπερ τυφώνας θα μπορούσε να κινηθεί στον ίδιο δρόμο με τον σούπερ τυφώνα Χαγιάν ο οποίος χτύπησε τις κεντρικές Φιλιππίνες το Νοέμβριο του 2013, αφήνοντας 7.000 νεκρούς ή αγνοούμενους και περισσότερους από 4 εκατομμύρια άστεγους.
Προς το παρόν η κίνηση του Χαγκοπίτ δεν είναι απολύτως σαφής καθώς ενώ η τοπική Μετεωρολογική Υπηρεσία και η Μετεωρολογική Υπηρεσία της Ιαπωνίας προβλέπουν ότι θα πλήξει τις κεντρικές Φιλιππίνες, η ιστοσελίδα πρόβλεψης κινδύνου για τις Τροπικές Θύελλες και το Κέντρο Προειδοποίησης Τυφώνων του Πολεμικού Ναυτικού των ΗΠΑ έδειξε ότι κινείται βόρεια, κοντά στην πρωτεύουσα Μανίλα.

Η Μετεωρολογική Υπηρεσία της Ιαπωνίας αποκαλεί τον Χαγκοπίτ ως «βίαιη» καταιγίδα, ενώ το ναυτικό των ΗΠΑ τον χαρακτηρίζει σούπερ τυφώνα.
Δείτε το βίντεο:
Πηγή βίντεο: nbcnews